PR
仙台でフォトフェイシャルが安いおすすめのクリニックは?
フォトフェイシャルは効果あるの?
シミ・くすみ・そばかす・赤みなど、肌の悩みを抱えている方は多いですよね。
化粧で隠せたとしても、鏡を見る度に、この悩みが無くなればと考えるのではないでしょうか?
編集部そんな肌悩みを抱えている方達に、今人気の美容医療がフォトフェイシャルです。
しかし、仙台でも取り扱っているクリニックは多く、クリニックの選び方が分からないですよね。
結論、仙台でフォトフェイシャルが安いクリニックを選ぶ際には、料金の総額・施術効果・スタッフの評判を確認することをおすすめします。
その中でも当記事が特におすすめするクリニックは、湘南美容クリニック仙台2院です。
湘南美容クリニックは非常に多くの患者から支持されており、総累計来院数は3,280万人を超えています。

綺麗になりたい多くの方に、湘南美容クリニックは選ばれています。
ぜひ、あなたの肌悩みを解決するクリニックとして、検討してみてください。
おすすめポイント・特徴
- 累計来院実績は3,280万人! 施術を受けた方のリピーター率は90%以上!
- 【初回限定】6,800円は破格の安さ! 専門医が多数在籍で施術効果も安心!
- カウンセリング・術後のアフターケアも無料だから安心!
無料カウンセリングが綺麗への第一歩!
また、仙台でフォトフェイシャルが安いおすすめクリニック3院をピックアップしてみたので、気になる方は参考にしてみてください。
\仙台でフォトフェイシャルが安いクリニック比較表!/
| 湘南美容 クリニック 仙台2院 | 品川美容外科 仙台院 | 共立美容外科 仙台院 | |
|---|---|---|---|
![]() | ![]() | ![]() | |
| 施術 費用 | 初回限定 6,800円 (税込) | 初回限定 8,640円 (税込) | 1回 33,000円 (税込) |
| 評判 | 満足度 97% (公式HP) | 満足度 90% (当院調べ) | 満足度 89% (当院調べ) |
| 保証 | 記載なし | 記載なし | 記載なし |
| 来院実績 | 526万人 以上 2024年度 | 記載なし | 記載なし |
| 予約 画面 | >>詳細 | >>詳細 | >>詳細 |
では、仙台でフォトフェイシャルが安いおすすめのクリニックで施術を受けた方は、どういった理由でフォトフェイシャルを選んだのでしょうか?
実際に、仙台でフォトフェイシャルの施術を受けた方に、アンケート調査を実施したので確認してみましょう。

フォトフェイシャルの選択理由に関するアンケート調査
調査概要
調査期間:2025年4月最新版
調査実施:まぶたのクリニック
調査方法:CrowdWorks・街頭インタビュー調査
調査対象:フォトフェイシャルを受けた78人
調査結果:
- シミやくすみの改善に実績があると聞いたから:38%
- 痛みやダウンタイムが少ないと知っていたから:28%
- 肌への負担が少なく続けやすい施術だから:21%
- 他のレーザーより料金が手頃だったから:13%
仙台での調査の結果、66%の方が効果と肌へのやさしさを両立できる点を重視して選択していることが分かりました。
フォトフェイシャルは、肌への負担が少ないため、すぐに日常生活に戻れるメリットがあります。
編集部しかし、おすすめクリニックやメリットが分かっても、いきなり契約するのはハードルが高いですよね。
初めての美容医療の方にとって、カウンセリングと聞くと無理な勧誘を想像するのではないでしょうか?
湘南美容クリニック仙台2院は、そういった勧誘や強引な契約がないことでもおすすめできるクリニックです。
編集部では、カウンセリングで何をするのか気になりますよね。
- あなたの不安・悩みの確認
- 施術後のイメージをシミュレーションで確認
- 施術プランの提案
- 料金の確認
カウンセリングの利用が不十分であると、トラブルになるケースもあります。
大切なのは、納得して契約・施術に進むことです。
編集部綺麗への一歩は、無料カウンセリングから始まります。
カウンセリングの予約は下の緑色のボタンから行えて、60秒もあれば終わる簡単なものです。
まずは、無料カウンセリングを予約して、プロのカウンセラーに悩みを相談してみましょう。
\【初回限定】6,800円でシミのない韓流肌に!/
※無料カウンセリング予約でフォトフェイシャルが
初回限定で6,800円(税込)で受けられます。
※無理な勧誘はなく、カウンセリングは無料です。
編集部当記事では、国家資格である看護師免許を持っている、まぶたのクリニック編集部である私が以下の内容を解説します。
- 仙台でフォトフェイシャルが安いクリニックのおすすめの選び方
- 仙台でフォトフェイシャルが安いおすすめクリニック7選を編集部が厳選!
- 仙台でフォトフェイシャルが安いおすすめクリニックで施術を受けた経験者にアンケート調査!
- 仙台でフォトフェイシャルが安いおすすめクリニックに関するよくあるQ&A
- 仙台でフォトフェイシャルが安いおすすめクリニック 当記事のまとめ
仙台でフォトフェイシャルが安いクリニックのおすすめの選び方

ここからは、仙台でフォトフェイシャルが安いクリニックのおすすめの選び方を、具体的に解説していきます。
当記事がおすすめする選び方は、以下の3つです。
この3つを確認しておけば、満足いく施術を受けられるだけでなく、トラブルや後悔のリスクも回避できます。
それぞれを見ていく前に、フォトフェイシャルの効果が気になりませんか?
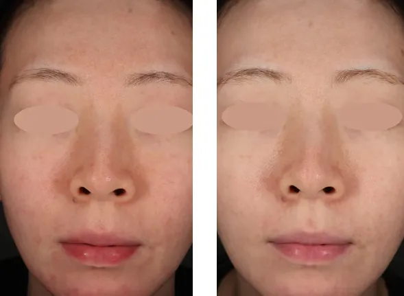
編集部クリニックによっては、実際の症例写真を掲載しています。
当記事おすすめの、湘南美容クリニックの症例写真を確認してみましょう。
\フォトフェイシャルの症例写真/
IPLフォトトリプル
湘南美容クリニック
フォトダブル
湘南美容クリニック
フォトダブル
湘南美容クリニック
シミ・そばかす・赤みが無くなり、透明感のある綺麗な肌になっているのが分かりますよね。
あなたの悩みもぜひ、湘南美容クリニック仙台2院で解決してみませんか?
\【初回限定】6,800円でシミのない韓流肌に!/
※無料カウンセリング予約でフォトフェイシャルが
初回限定で6,800円(税込)で受けられます。
※無理な勧誘はなく、カウンセリングは無料です。
また、知恵袋などのサイトにある、施術を経験したリアルな声を確認することも役立ちます。
実際に、湘南美容クリニック仙台2院に投稿されたものを確認してみましょう。
経験者湘南美容クリニック仙台院
学生時代の日焼けが仇となりシミが目立ち始めましたが、こちらでシミ取りをしてもらっているお陰で同級生たちから「シミないよね〜」とお肌を誉められてます♪カミングアウトしても良いのですが、もう少し黙っていようかと思います 笑
引用元:GoogleMaps
経験者湘南美容クリニック仙台院
同じ施術を継続して16回目です。明らかに肌質が改善され、色白でキメの細かい肌になってきました。人にも気づかれるようになり、とても満足しています。今は月1度、メンテナンスのように通っていますが今後も継続したいです。
引用元:GoogleMaps
経験者湘南美容クリニック仙台院
いつも丁寧に問診、施術していただいています。 待合室も患者さんが一方向を向いて顔を合わせないで良いようになっていますし、美容皮膚科も以前よりも敷居が低く感じられるようになりましたね。 私は効果の曖昧な化粧品で信じて長く使うよりも、美容皮膚科でしっかり効果を感じられるほうが肌にも優しいと感じてます。 毎年誕生日付近に自分へのご褒美にお世話になっています。
引用元:GoogleMaps
シミがなくなったことで生活が前向きになった投稿や、スタッフへの評価が高い投稿が多くありました。
こういった投稿は信頼度が非常に高いため、悩んでいる方は参考にすることをおすすめします。
編集部湘南美容クリニック仙台2院なら、あなたの悩みを安心して任せられると言えます。
まずは、無料カウンセリングを予約してみることから始めてみましょう。
\【初回限定】6,800円でシミのない韓流肌に!/
※無料カウンセリング予約でフォトフェイシャルが
初回限定で6,800円(税込)で受けられます。
※無理な勧誘はなく、カウンセリングは無料です。
それでは、具体的にクリニックのおすすめの選び方を見ていきましょう。
仙台でフォトフェイシャルが安いクリニックのおすすめの選び方|①料金の総額を確認する

まず始めに、仙台でフォトフェイシャルが安いクリニックを探す際は、料金の総額を確認してください。
編集部なぜ料金の確認ではなく、料金の総額を確認なのか気になりますよね。
それは、フォトフェイシャルを始めとする美容医療が、保険適用外の自由診療だからです。
仙台でフォトフェイシャルが安いクリニック比較表でも示したように、クリニックによって施術費用には差があります。
編集部また、クリニックによっては、診察・アフターケアが有料の場合もあります。
特に美容医療が初めての方は、施術代以外に費用が発生するとは考えないですよね。
施術費用だけでクリニックを選ぶと、以下のような失敗に遭遇する可能性があります。
クリニックA=施術代:8,000円
クリニックB=施術代:9,000円
この時点では、同じ条件であればクリニックAが魅力的です。
クリニックA=診察代5,000円
クリニックB=診察代無料
こうなってくると、圧倒的にクリニックB一択になってきますよね。
このように、トータルでかかってくる費用を確認しなければ、安くフォトフェイシャルができるクリニックに辿り着けません。
また、施術費用が「〇〇円~」という表記も注意が必要です。
当記事おすすめの湘南美容クリニック仙台2院では、カウンセリング無料は当然として、施術代に全ての費用が含まれています。
編集部施術料金も、明確に表記されています。
湘南美容クリニック仙台2院の、フォトダブルの料金表を確認してみましょう。

5回コースも非常にお得に設定されており、料金も明確に表示されていることが分かります。
ぜひ無料のカウンセリングを予約して、自分の希望する施術の料金を総額で確認してみましょう。
\【初回限定】6,800円でシミのない韓流肌に!/
※無料カウンセリング予約でフォトフェイシャルが
初回限定で6,800円(税込)で受けられます。
※無理な勧誘はなく、カウンセリングは無料です。
仙台でフォトフェイシャルが安いクリニックのおすすめの選び方|②施術効果を確認する

2つ目として、仙台でフォトフェイシャルが安いクリニックを探す際は、施術効果を確認してください。
美容医療において、料金と効果を比較した場合、効果を重視するといった意見も多いです。
編集部綺麗になりたくてフォトフェイシャルを受けるため、安いだけで効果がなくては意味がありません。
施術効果は、先ほど示したように、症例写真を確認するのが最も信頼できる情報になります。
では、そもそもフォトフェイシャルの効果の仕組みは、どういったものなのでしょうか?
フォトフェイシャルは、IPL光治療の一種です。
POINT①
湘南美容クリニックのIPL光治療は、3種類あります。
- フォトダブル|初回限定:7,800円
- フォトトリプル|初回限定:10,800円
- フォトRF|初回限定:6,800円
POINT②
厚生労働省認可の最新光治療機を使用。
化粧品では届かない肌奥に眠る色素にアプローチします。
POINT③
シミやくすみの元となる「黒(茶)」、炎症を起こした「赤色」などの色味だけを粉砕・排出。
桁違いの透明感へと導きます。
厚生労働省認可であれば、安心できますよね。
では、仙台でフォトフェイシャルが安いおすすめのクリニックで施術を受けた方は、どのくらいの期間で効果を実感したのでしょうか?

フォトフェイシャルの効果実感時期に関するアンケート調査
調査概要
調査期間:2025年4月最新版
調査実施:まぶたのクリニック
調査方法:CrowdWorks・街頭インタビュー調査
調査対象:フォトフェイシャルを受けた78人
調査結果:
- 1週間以内に肌トーンが明るくなったと感じた:34%
- 2〜3週間後にシミが薄くなったと実感:32%
- 3回以上の施術で明確な効果を感じた:22%
- あまり変化を感じなかった:12%
仙台での調査の結果、66%の方が3週間以内に効果を実感していることが分かりました。
3人に1人はすぐに効果を実感していることから、少し個人差はあるようです。
編集部すぐに効果が出なくても、焦る必要はありません。
当記事おすすめの湘南美容クリニック仙台2院でも、5回程度の施術をおすすめしています。
ぜひ無料のカウンセリングで、自分に適切なプランの提案を受けてみてください。
\【初回限定】6,800円でシミのない韓流肌に!/
※無料カウンセリング予約でフォトフェイシャルが
初回限定で6,800円(税込)で受けられます。
※無理な勧誘はなく、カウンセリングは無料です。
仙台でフォトフェイシャルが安いクリニックのおすすめの選び方|③スタッフの評判を確認する

3つ目として、仙台でフォトフェイシャルが安いクリニックを探す際は、スタッフの評判を確認してください。
料金の総額・施術効果を確認するだけでは、満足いく結果には結び付きません。
編集部例えば、最後の最後に受付で雑な対応をされたら、非常に残念な気持ちになりますよね。
また、カウンセリングから施術・受付にいたるまで多くの職種のスタッフが関わってきます。
どこかで1つでも嫌な思いをすれば、継続して通うことが苦痛になってきます。
編集部では、スタッフの評判はどうやったら確認できるのでしょうか?
ここでも、知恵袋などの投稿サイトが役に立ちます。
湘南美容クリニック仙台2院への、実際の投稿を確認してみましょう。
経験者湘南美容クリニック仙台院
今回2回目の来院です。他院とは全然違う先生の診察、看護師さん、受付、案内の方の対応などに安心したお任せ出来るとおもいました。シミ、肝斑についても頑張れそうです!
引用元:GoogleMaps
経験者湘南美容クリニック仙台院
定期的にお肌の手入れで通っています。 クリニックは、清潔感があり、看護師さんやスタッフさんも丁寧な方ばかりです。今後も継続して通いたいです。
引用元:GoogleMaps
経験者湘南美容クリニック仙台院
初めての利用でしたがフロントのスタッフさんもカウンセリングのスタッフさんも丁寧な対応且つ話しやすい雰囲気で良かった。美容クリニックは少し緊張するかと思いましたが、むしろ安心できました。
引用元:GoogleMaps
多くの投稿で、スタッフへの評判が良いことが分かります。
スタッフが丁寧であると、安心に繋がりますよね。
編集部またカウンセリングの際に、遠慮なく話せることは非常に重要です。
不安を残したまま施術するのは、後悔に繋がっていしまいます。
ぜひ、湘南美容クリニック仙台2院のカウンセリングを予約して、悩みを全て相談してみてください。
\評判の良いスタッフならカウンセリングも安心!/
※無料カウンセリング予約でフォトフェイシャルが
初回限定で6,800円(税込)で受けられます。
※無理な勧誘はなく、カウンセリングは無料です。
仙台でフォトフェイシャルが安いおすすめクリニック7選を編集部が厳選!
湘南美容クリニック 仙台2院【圧倒的な実績を活かしハイレベルな施術を提供!】
仙台




無料カウンセリング |
肌診断付き |
アフターケア |
キャンペーン |
土日祝対応 |
WEB予約 |
| ポイント | くすみがなくハリ・弾力のある若々しい肌を目指せる! |
|---|---|
| 保証 | 記載なし |
| 割引・キャンペーン | 初回限定価格あり モニター割引で最大約62%OFF ポイント会員制度:ご利用金額の0.3%~3%ポイント還元 お友達紹介制度:紹介者とお友達に5,000円分SBCポイントプレゼント SBC公式アプリでメールアドレス登録とLINE連携で2,000円OFFチケットプレゼント 学割あり |
| 無料カウンセリング | あり |
| 決済方法 | 現金 デビットカード クレジットカード 医療ローン |
| 院数 | 258院(※2025年10月31日時点) |
| 営業時間 | 10:00~19:00 |
| 定休日 | なし |
\回数プラン・初回価格など割引制度が豊富!/
- 初回限定価格で費用を抑えて施術を受けられる!
- 最短15分で施術が完了しダウンタイムがほぼない!
- セルフケアが難しいそばかすや赤ら顔にも高い効果を発揮!
湘南美容クリニック 仙台2院は、フォトフェイシャルの施術実績が豊富な、仙台でも高い評価を得ている大手クリニックです。 フォトフェイシャルが初めての方にも利用しやすいよう、1回6,800円(税込)という安い価格で施術を提供しています。 5回コースでは、1回あたりがさらに安い価格になり、継続的にフォトフェイシャルを行いたい方にもおすすめです。 さらに、紹介割引やポイント会員制度などの特典を利用することで、費用を抑えて施術を受けることができる仙台でおすすめのクリニックです。
\回数プラン・初回価格など割引制度が豊富!/
湘南美容クリニック 仙台2院のフォトフェイシャルの料金(税込)
初回限定価格:7,800円(通常価格:12,800円) 皮フ科オリジナル価格:9,480円 5回:47,400円
\回数プラン・初回価格など割引制度が豊富!/

駅から徒歩1分で通いやすく、
院内もとてもキレイで
来るだけで気分が上がります。
先生はじめスタッフの方々も
皆さん優しく、
丁寧なカウンセリングで
無理な勧誘などもなく、
安心して通えるのがいいです。
引用:Google Maps

先生、他スタッフの対応みなさんすばらしくて、説明がわかりやすかったです。もちろん、仕上がりもすばらしく、毎日鏡を見る度に幸せな気持ちになります(*^^*)また何かあれば、ぜひ利用したいとおもいます。
引用:Google Maps
仙台駅徒歩1分 (仙台院の場合)
宮城県仙台市青葉区中央1-2-3 仙台マークワン17階 (仙台院の場合)
\回数プラン・初回価格など割引制度が豊富!/
品川美容外科 仙台院【安全性が高く火傷のリスクも少ない機器を使用!】
仙台




無料カウンセリング |
肌診断付き |
アフターケア |
キャンペーン |
土日祝対応 |
WEB予約 |
| ポイント | 複数の肌トラブルを同時にケアできる! |
|---|---|
| 保証 | 記載なし |
| 割引・キャンペーン | 期間限定クーポン:施術代30,000円以上で3,000円OFF 初回限定価格あり BMC会員特典:対象治療が20%OFF(お誕生日月が25%OFF&1,000ptプレゼント) LINE友だち追加でお得なクーポンプレゼント LINE友だち追加後、アンケート回答で1,000円OFFクーポンプレゼント モニター割引あり ポイント制度あり |
| 無料カウンセリング | あり |
| 決済方法 | 現金 モバイル決済 デビットカード クレジットカード 医療ローン |
| 院数 | 39院 |
| 営業時間 | 10:00~19:00 |
| 定休日 | なし |
\都度払いで気軽!必要な回数を自分のペースで!/
- サポート体制が整っているため万が一の際も安心!
- 人目に付きやすい手の甲への施術にも対応している!
- ダウンタイムがほとんどなく施術直後のメイクが可能!
品川美容外科 仙台院は、ニキビ跡やシミ・くすみに効果的なフォトフェイシャルを手頃な料金で提供する、仙台でおすすめのクリニックです。 1回8,640円(税込)という安い価格でフォトフェイシャルを受けられるため、気軽に美肌ケアをスタートできます。 また、顔だけではなく手の甲の施術にも対応しているため、手のシミやくすみに悩んでいる方にもおすすめです。 都度払い制なので、必要な回数を安い予算でフォトフェイシャルを受けられる仙台のクリニックです。
\都度払いで気軽!必要な回数を自分のペースで!/
品川美容外科 仙台院のフォトフェイシャルの料金(税込)
初回限定価格:8,640円 2回目以降 BMC会員価格:13,710円 通常価格:18,680円 4回コース:48,600円
\都度払いで気軽!必要な回数を自分のペースで!/

シミ、くすみ、ニキビ跡が気になっていたので、フォトシルクプラスを受けるために定期的に通っている。
もう3回ほど通っているが、1回目からすぐに効果が現れ、今ではほとんど目立たなくなってきた。
痛みは輪ゴムで弾かれる程度で全然痛くない。
腫れや赤みもないため、当日からメイク可能なのも助かった。
料金も他のクリニックより安いので、通い続けやすい。
1回あたり15分くらいの施術で終わるので、買い物帰りなどに気軽に寄れていい。
引用:Google Maps

フォトシルクプラスを行いました。施術前の丁寧な説明と、施術中も痛みの確認や説明など細かくしてもらい安心して、施術を受けられました。今後も定期的に通おうと思います。
引用:Google Maps
仙台駅徒歩2分 地下鉄東西線・南北線仙台駅徒歩3分
宮城県仙台市青葉区中央1-3-1 AER29F
\都度払いで気軽!必要な回数を自分のペースで!/
共立美容外科 仙台院【一人の医師が担当し結果重視のケアを実現!】
仙台




無料カウンセリング |
肌診断付き |
アフターケア |
キャンペーン |
土日祝対応 |
WEB予約 |
| ポイント | 個々の肌に合わせた施術でより効果的なケアを実現! |
|---|---|
| 保証 | 記載なし |
| 割引・キャンペーン | 記載なし |
| 無料カウンセリング | あり |
| 決済方法 | 現金 デビットカード クレジットカード 医療ローン |
| 院数 | 26院 |
| 営業時間 | 10:00~19:00 |
| 定休日 | なし |
\的確な診断と施術で美肌を実現!コースプランでお得/
- 肌質を整え健康的で美しい肌に導く!
- 施術中の痛みや肌への影響が少ないため初めてでも安心!
- 肌の悩みに合わせて8つの波長を使い分け効果的に対応!
共立美容外科 仙台院は、カウンセリングを重視し、1人ひとりの肌の状態に合わせたフォトフェイシャルを安い料金で提供している仙台のクリニックです。 8種類の波長を使い分けることで、さまざまな肌の悩みに対応しており、セルフケアで改善が難しい方にも適しています。 さらに、3回・5回のコースプランを利用すると1回あたりの料金が安い価格になり、フォトフェイシャルを継続しやすい点も魅力です。 仙台駅から徒歩1分の立地に加え、平日も19時まで診療しており、忙しい方でもフォトフェイシャルを継続しやすいおすすめのクリニックです。
\的確な診断と施術で美肌を実現!コースプランでお得/
共立美容外科 仙台院のフォトフェイシャルの料金(税込)
1回:33,000円 3回:89,100円 5回:140,800円
\的確な診断と施術で美肌を実現!コースプランでお得/

シミが気になり来院しました。とても丁寧な説明を受け、心配もなく施術してもらいました。皆さん親切で院内もキレイです。ケミカルピーリングとフォトRFをやりました。トラブルもなくシミもうすくなり結果も満足でした。何回か通えばかなり薄くなりそうです。
引用:Google Maps

最初は緊張していましたが、ドクターご自身がとても丁寧にカウンセリングをしてくださり、安心してお願い出来ました。
受付の方もどなたも優しく、待合室はプライバシーが保たれています。
これからも悩みが出来たら先生に相談して、またお世話になりたいと思います。
引用:Google Maps
仙台駅徒歩1分
宮城県仙台市宮城野区榴岡2-1-20 HPビル4F
\的確な診断と施術で美肌を実現!コースプランでお得/
リゼクリニック 仙台院【明朗会計・追加料金なしで計画的に美肌を実現!】
仙台




無料カウンセリング |
肌診断付き |
アフターケア |
キャンペーン |
土日祝対応 |
WEB予約 |
| ポイント | 重ね打ちでムラのない仕上がりを提供! |
|---|---|
| 保証 | 記載なし |
| 割引・キャンペーン | モニター価格あり 乗り換え割あり:10%OFF 学割あり |
| 無料カウンセリング | あり |
| 決済方法 | 現金 クレジットカード 定額pay デビットカード 医療ローン |
| 院数 | 6院※対象院のみ |
| 営業時間 | 月〜金 10:00〜14:00 15:00〜20:00 土・日・祝日 9:00〜13:00 14:00〜19:00 |
| 定休日 | 不定休 |
\年中無休・9時からの診療により早朝施術も可能!/
- 肌を冷やしながらの施術により痛みが少ない!
- 腫れや赤みなどの回復期間が短い!
- 都度払いなら自分のペースで気軽に通いやすい!
リゼクリニック 仙台院は、仙台駅から徒歩1~3分の立地にあり、土日祝日も診療しているため、平日忙しい方も施術を受けやすいクリニックです。 フォトフェイシャルでは、重ね打ちを行うことでムラのない仕上がりを目指せるのもおすすめのポイントです。 1回あたりが安い料金になる回数プランが用意されているため、低予算でフォトフェイシャルを受けられます。 また、見積もりから追加料金が発生せず明朗会計なので、決めた予算内で計画的にフォトフェイシャルを始められるクリニックです。
\年中無休・9時からの診療により早朝施術も可能!/
リゼクリニック 仙台院のフォトフェイシャルの料金(税込)
1回:14,800円 3回:39,800円 5回:59,800円
\年中無休・9時からの診療により早朝施術も可能!/

医師、看護師、受付のみなさんとても気持ちのいいご対応をしてくださり安心しました。全くと言っていいほど勧誘等の話はされませんので好感が持てます。むしろこちらから次回以降に美容治療をお願いしたくなっちゃいました。
引用:Google Maps

毎回担当してくださる方は違いますが、どの担当の方も丁寧で親切なため、安心して施術をお願いできます。院内も清潔感があり、とても良いところです。
引用:Google Maps
地下鉄南北線仙台駅徒歩1分 東北本線仙台駅徒歩3分 あおば通駅徒歩3分
宮城県仙台市青葉区中央3丁目6-12 仙台南町通ビル8F
\年中無休・9時からの診療により早朝施術も可能!/
あおばクリニック 仙台院【完全都度払い制により初めての方でも通いやすい!】
仙台




無料カウンセリング |
肌診断付き |
アフターケア |
キャンペーン |
土日祝対応 |
WEB予約 |
| ポイント | 丁寧なカウンセリングで気軽に肌の悩みを相談できる! |
|---|---|
| 保証 | 記載なし |
| 割引・キャンペーン | ポイント制度あり |
| 無料カウンセリング | 初診料:3,000円(キャンペーン時は無料) |
| 決済方法 | 現金 クレジットカード QRコード |
| 院数 | 30院 |
| 営業時間 | 10:30〜12:30 14:00〜18:30 |
| 定休日 | 水曜日 木曜日 |
\【当日施術可能】駅近で通いやすい/
- 火傷や色素沈着のリスクを抑えた肌に優しい施術を提供!
- 薄いシミやそばかすにアプローチし高い美肌効果を発揮!
- 当日施術対応だから予定が立てにくい方でも安心!
あおばクリニック 仙台院は、仙台駅から徒歩1~2分の立地にあり、忙しい方もフォトフェイシャルを受けやすい環境が整っているクリニックです。 また、フォトフェイシャルを1回ごとの都度払いプランで提供しているため、「まずは試してみたい」という方にもおすすめです。 1回9,800円(税込)という仙台エリアでも比較的安い料金でフォトフェイシャルを提供しており、低予算で美肌ケアを始められます。 患者さんの肌の状態を丁寧に確認し、シミ・そばかす・くすみなどに最適な波長で施術するため、より高い効果が得られるおすすめのクリニックです。
\【当日施術可能】駅近で通いやすい/
あおばクリニック 仙台院のフォトフェイシャルの料金(税込)
9,800円
\【当日施術可能】駅近で通いやすい/

本日フォトフェイシャルの施術をして頂きました。
予約の電話対応してくださった方も、顔は見えて無くとも分かるほど明るいご対応で、本日楽しみに到着(^^)
受付の方もカウンセリングの方も看護師さんもみんな笑顔があって明るくて素敵でした^_^
カウンセリングも丁寧で、施術箇所のマーキングも丁寧で先生は聞き上手な方で素敵な先生です!
もう勝手に私スタッフさんみんな大好きです(^^)www
早く次の施術しに行きたいくらい大満足でした!また宜しくお願いします(^^)
引用:Google Maps

よく分からないままweb予約をしたら、スタッフの方が予約日時を決める電話ですごく丁寧に施術内容や使用する機械によっての違い、値段についてなどを説明してくださいました。おかげさまで安心して施術に臨めます。
こちらのクリニックを利用するのは今回で2回目ですが、値段もお手頃ですしスタッフの方々も優しくて丁寧、そして施術はしっかりやってくださるので、これからも通いたいと思います☺︎
引用:Google Maps
仙台駅徒歩2分
宮城県仙台市青葉区中央3丁目7-5 仙台パルコ 2・5階
\【当日施術可能】駅近で通いやすい/
よだ形成外科クリニック【肌質改善効果によりトラブルのない美肌を目指せる!】
仙台




無料カウンセリング |
肌診断付き |
アフターケア |
キャンペーン |
土日祝対応 |
WEB予約 |
| ポイント | シミやシワのない若々しい肌を目指せる! |
|---|---|
| 保証 | 記載なし |
| 割引・キャンペーン | 初回限定価格あり |
| 無料カウンセリング | 初診料:1,650円 再診料:1,650円 |
| 決済方法 | 現金 クレジットカード 電子マネー QRコード 医療ローン |
| 院数 | 1院 |
| 営業時間 | 月〜金 9:30〜12:30 14:00〜18:30 土日 9:30〜17:30 |
| 定休日 | 水曜日 第1・3・5日曜日 祝祭日 |
\短期間で健やかな肌を実現!内部から肌質改善も期待!/
- 麻酔クリームで痛みの軽減も可能!
- 丁寧なアフターケアによりダウンタイムが短い!
- 初めての方向けのトライアル価格がある!
よだ形成外科クリニックは、1回の施術でも肌の変化を実感することが期待できるフォトフェイシャルを安い料金で提供している仙台でおすすめのクリニックです。 フォトフェイシャルが初めての方も美肌ケアを始めやすいように、初回限定価格で施術を提供しています。 また、3回・5回のコースプランも用意されているため、フォトフェイシャルを継続しやすい環境が整っています。 そのため、安い予算で美肌治療を始めたい方にもおすすめの仙台のクリニックです。
\短期間で健やかな肌を実現!内部から肌質改善も期待!/
よだ形成外科クリニックのフォトフェイシャルの料金(税込)
初回限定価格:19,800円 1回:49,500円 3回:133,650円 5回:210,375円
\短期間で健やかな肌を実現!内部から肌質改善も期待!/

必要のない手術は、「やる必要ない」ときちんと言って下さる誠実な先生です。
クールな口調かもしれませんが、とても温かい先生ですし何よりも技術が確かです。
これからも通い続けようと思えるクリニックと先生です。
引用:Google Maps

先生はとても丁寧だったし、カウンセリングでの対応もわかりやすくて良かったです。とてもオススメのクリニックです!
引用:Google Maps
仙台駅徒歩3分 広瀬通駅徒歩10分
宮城県仙台市青葉区花京院1丁目1-6 Ever-i仙台駅前2F
\短期間で健やかな肌を実現!内部から肌質改善も期待!/
仙台駅ちゅら皮ふ科【幅広い肌トラブルに対応している専門クリニック!】
仙台




無料カウンセリング |
肌診断付き |
アフターケア |
キャンペーン |
土日祝対応 |
WEB予約 |
| ポイント | シミや赤ら顔など複数の悩みも1回でアプローチ可能! |
|---|---|
| 保証 | 記載なし |
| 割引・キャンペーン | 記載なし |
| 無料カウンセリング | 初診料:3,300円 再診料:1,650円 |
| 決済方法 | 現金 クレジットカード |
| 院数 | 1院 |
| 営業時間 | 月〜金 10:00〜13:30 15:30〜19:00 土 9:30〜14:00 |
| 定休日 | 月曜日午前 土曜日午後 日曜日 祝日(土曜が祝日の場合は診察あり) |
\わかりやすい説明で安心!初めての方も受診しやすい/
- 単発プランで自分のペースで通える!
- 表皮への負担が少なく敏感肌の方にも対応している!
- 仙台駅から徒歩3分でアクセスしやすい立地にある!
仙台駅ちゅら皮ふ科は、シミ・しわ・ニキビなど、複数の肌トラブルを同時に治療できるフォトフェイシャルを、比較的安い料金で提供している仙台のおすすめクリニックです。 肌の内部に直接働きかける施術のため、表皮への負担が少なく、アトピーや敏感肌の方も安心して受けられます。 3回のコースプランを利用すると1回あたりの料金が割安となり、継続的にフォトフェイシャルを行いたい方に最適です。 1回の都度払いでもフォトフェイシャルを受けられるため、安い予算で必要な回数だけ通いたい方にもおすすめの仙台のクリニックです。
\わかりやすい説明で安心!初めての方も受診しやすい/
仙台駅ちゅら皮ふ科のフォトフェイシャルの料金(税込)
1回:33,000円 3回:89,100円
\わかりやすい説明で安心!初めての方も受診しやすい/

仙台に引っ越して初めて皮膚科を利用しました。駅前にあるためアクセス◎
すごく丁寧で、しばらく悩んでいた皮膚の悩みが日に日に良くなっている気がします。
長期戦になりそうなのでしばらく通います。
引用:Google Maps

調べて口コミがよかったので伺いました。
先生とても話しやすく優しく、看護師さんたちスタッフもみなさん優しくてとても安心できました☆少し緊張してたので何か聞きたいことはないかとか話しやすい環境を与えてくてれて有難かったです。また何かあれば是非先生にお願いしたいです。ありがとうございました!
引用:Google Maps
仙台駅徒歩3分
宮城県仙台市宮城野区名掛丁201-2 S FRONT4階
\わかりやすい説明で安心!初めての方も受診しやすい/
仙台でフォトフェイシャルが安いおすすめクリニックで施術を受けた経験者にアンケート調査!

編集部では、実際に仙台でフォトフェイシャルが安いおすすめクリニックで施術を受けた方に、アンケート調査を実施しました。
実際に施術を受けた方のリアルな声は、非常に参考になるので、ぜひ確認してください。
フォトフェイシャルで施術を受けた部位を教えてください

まず始めに、仙台でフォトフェイシャルが安いおすすめクリニックで施術を受けた方は、どの部位に対する施術を選択したのか確認してみましょう。

フォトフェイシャルの施術部位に関するアンケート調査
調査概要
調査期間:2025年4月最新版
調査実施:まぶたのクリニック
調査方法:CrowdWorks・街頭インタビュー調査
調査対象:フォトフェイシャルを受けた78人
調査結果:
- 顔全体(シミ・トーン改善目的):51%
- 頬や鼻まわり(赤み・毛穴ケア):26%
- 首やデコルテ:14%
- 手の甲など体の部分的な色素改善:9%
仙台でのアンケート調査の結果、半数以上が顔全体の色調改善を目的に施術していることが分かりました。
やはり、フォトフェイシャルに望んでいるのは、顔の悩み解決であると言えます。
編集部韓流肌のような、色ノイズがない均一な肌は憧れますよね。
当記事おすすめの湘南美容クリニックでは、韓流肌プロジェクトとして、美肌治療に力を入れています。
あなたの肌悩みを解決するには、湘南美容クリニック仙台2院がおすすめです。
まずは無料カウンセリングで、専門家に肌を確認してもらいましょう。
\【韓流肌が手に入る】6,800円で顔の悩みを解決/
※無料カウンセリング予約でフォトフェイシャルが
初回限定で6,800円(税込)で受けられます。
※無理な勧誘はなく、カウンセリングは無料です。
フォトフェイシャルの施術中、痛みはどう感じましたか?

美容医療において、多くの方が不安に感じているのが痛みについてです。
では、実際に仙台でフォトフェイシャルが安いおすすめクリニックで施術を受けた方は、施術中の痛みについてどう感じたのでしょうか?

フォトフェイシャルの施術中の痛みに関するアンケート調査
調査概要
調査期間:2025年4月最新版
調査実施:まぶたのクリニック
調査方法:CrowdWorks・街頭インタビュー調査
調査対象:フォトフェイシャルを受けた78人
調査結果:
- ほとんど痛みはなかった:36%
- 軽くパチッとした刺激を感じた:40%
- 熱感がやや気になった:15%
- 痛みが強かった:9%
仙台での調査の結果、76%の方が痛みは軽度または問題なしと回答しています。
フォトフェイシャルの機械には、冷却機能が搭載されており、痛みを極限まで抑える工夫がされています。
痛みへの不安は、緊張でさらに大きくなることもあります。
スタッフの評判が良い湘南美容クリニック仙台2院なら、安心して施術に望めるためおすすめできます。
\【痛みが苦手な方も安心】6,800円で悩み解消/
※無料カウンセリング予約でフォトフェイシャルが
初回限定で6,800円(税込)で受けられます。
※無理な勧誘はなく、カウンセリングは無料です。
フォトフェイシャルのダウンタイムはどの程度でしたか?

痛みについては分かりましたが、ダウンタイムはどうなのでしょうか?
編集部施術したことが、誰かにバレるのは避けたいですよね。
実際に、仙台でフォトフェイシャルが安いおすすめクリニックで施術を受けた方の、アンケート結果を確認してみましょう。

フォトフェイシャルのダウンタイムに関するアンケート調査
調査概要
調査期間:2025年4月最新版
調査実施:まぶたのクリニック
調査方法:CrowdWorks・街頭インタビュー調査
調査対象:フォトフェイシャルを受けた78人
調査結果:
- ほとんどなかった(赤みがすぐ引いた):43%
- 軽い赤みが1〜2日続いた:33%
- シミが濃くなりかさぶた化したが3〜5日で剥がれた:16%
- 1週間以上目立つ反応があった:8%
仙台での調査の結果、76%の方が2日以内に目立たなくなったと回答しています。
2日で落ち着くのであれば、土日や有休を取ることでダウンタイムをやり過ごすことができます。
編集部ダウンタイムが短いことは、日常生活に早く戻れるため重要なポイントです。
また、メイクは施術直後から可能なことが多いです。
カウンセリングの際は、ダウンタイムについて確認をして、休みの調整してみてください。
\【たった2日で日常生活】6,800円で韓流肌に!/
※無料カウンセリング予約でフォトフェイシャルが
初回限定で6,800円(税込)で受けられます。
※無理な勧誘はなく、カウンセリングは無料です。
仙台でフォトフェイシャルが安いおすすめクリニックに関するよくあるQ&A

ここでは、仙台でフォトフェイシャルが安いおすすめクリニックに関する、よくある質問をQ&A方式でまとめています。
フォトフェイシャルの施術を悩んでいる方は、ぜひ参考にしてみてください。
- 仙台でフォトフェイシャルが安いおすすめのクリニックでは、施術後のケアで気を付けることはありますか?
-
フォトフェイシャルの施術後は、治療効果を最大限発揮させるためにUVケアが推奨されています。
また、スクラブやピーリングなどの、肌に刺激があるケアは2週間ほど避けた方が良いです。
編集部せっかく施術を受けたので、アフターケアは気をつけたいですよね、
その他にも気になることがあれば、カウンセリングで確認しておくことをおすすめします。
\【初回限定】6,800円で韓流肌に!/
※無料カウンセリング予約でフォトフェイシャルが
初回限定で6,800円(税込)で受けられます。※無理な勧誘はなく、カウンセリングは無料です。
- 仙台でフォトフェイシャルが安いおすすめのクリニックでは、効果を感じるまでどのくらいの施術回数が必要ですか?
-
個人差はありますが、1回でも効果を実感する方もいます。
より効果を得るために、1ヶ月間隔で5回程度の施術を受けることをおすすめします。
編集部5回コースを検討してみるのも良いですよね。
当記事おすすめの、湘南美容クリニック仙台2院でも、5回が準備されています。
ぜひカウンセリングで、コースについても確認してみてください。
\【5回コース】44,000円は破格!/
※無料カウンセリング予約でフォトフェイシャルが
初回限定で7,800円(税込)で受けられます。※無理な勧誘はなく、カウンセリングは無料です。
- 仙台でフォトフェイシャルが安いおすすめのクリニックでは、体のシミ取りも可能ですか?
-
仙台でフォトフェイシャルが安いおすすめのクリニックでは、体のシミ取りができるクリニックもあります。
当記事おすすめの、湘南美容クリニック仙台2院でも、体のシミ取りは可能です。
編集部一例として、フォトダブルの料金を見てみましょう。

初回限定ですが、7,800円は破格の料金設定です。
体のシミも検討している方は、ぜひカウンセリングで相談してみてください。
\【ボディのシミ取り】7,800円はお得!/
※無料カウンセリング予約でフォトフェイシャルが
初回限定で7,800円(税込)で受けられます。※無理な勧誘はなく、カウンセリングは無料です。
仙台でフォトフェイシャルが安いおすすめクリニック 当記事のまとめ

当記事では、仙台でフォトフェイシャルが安いおすすめのクリニック7選を、専門家が徹底調査して紹介しました。
仙台でフォトフェイシャルが安いクリニックを探す際には、以下の3つを確認することをおすすめします。
この3つを抑えておけば、高い満足度を得ることが可能です。
当記事がおすすめする、仙台でフォトフェイシャルが安いクリニックは、湘南美容クリニック仙台2院です。
編集部初回限定6,800円で、フォトフェイシャルが受けられるのは、破格の値段と言えます。
シミ・そばかすなど、肌に悩みがある方は、ぜひ無料カウンセリングの予約をしてみてください。
綺麗への第一歩を、今すぐ踏み出しましょう。
\【初回限定】6,800円でシミのない韓流肌に!/
※無料カウンセリング予約でフォトフェイシャルが
初回限定で6,800円(税込)で受けられます。
※無理な勧誘はなく、カウンセリングは無料です。



