PR
京都でフォトフェイシャルが安い
おすすめのクリニックは?
フォトフェイシャルで
シミ・そばかすを無くしたい!
京都で自分の肌にシミやそばかすが多くて「自信が持てない」「恥ずかしい」などと感じている方もいるのではないでしょうか。
編集部京都にはフォトフェイシャルが安いおすすめのクリニックが多くあります。
しかし、京都でフォトフェイシャルができるクリニックが多くて、「何を基準に選べば良いか分からない」と感じるのではないでしょうか。
結論、京都でフォトフェイシャルが安いクリニックを検討する際は、「料金・施術効果・評価」を重視してクリニックを選ぶのがおすすめです。
当記事では、京都でフォトフェイシャルが安いおすすめのクリニックを10選紹介します。
フォトフェイシャルがおすすめ!
- 紫外線などのダメージで生じたシミやそばかす・肌の赤みの色ノイズに直接アプローチ!肌質も同時に改善され、桁違いの透明感に!
- リピーター率90%以上(2024年度)専門医が多数在籍しており、初めての方にも安心!
- 【初回限定】当サイトから無料カウンセリング予約でフォトフェイシャルのIPL光治療が7,800円(税込)で受けられる!
【初回限定】IPL光治療が7,800円(税込)で受けられる
さらに、京都でフォトフェイシャルが安いおすすめのクリニックを3院ピックアップしました。
| 湘南美容 クリニック 【京都3院】 | 品川スキン クリニック 【京都院】 | 共立美容外科 【京都院】 | |
![]() | ![]() | ![]() | |
| 料金 | フォトダブル 顔全体 初回限定: 7,800円(税込) | フォトシルク プラス 1回: 18,680円 | 全顔1回: 33,000円 |
| 評判 | 満足度 97%以上 (公式から引用) | 満足度 93% (当院調べ) | 満足度 91% (当院調べ) |
| 保証 | 記載 なし | 記載 なし | 記載 なし |
| 予約 画面 | >>詳細 | >>詳細 | >>詳細 |
京都で、フォトフェイシャルが安いおすすめのクリニックの施術を受けた方は、どのような理由でフォトフェイシャルを選択したのでしょうか。
実際に、京都でフォトフェイシャルの施術を受けた方に、アンケート調査を実施しました。

京都でフォトフェイシャルを受けようと思った理由に関するアンケート調査
調査期間
・2025年4月最新版
調査実施
・まぶたのクリニック
調査方法
・CrowdWorks・街頭インタビュー調査
調査対象
・フォトフェイシャルを受けた82人
調査結果:
- シミ・そばかすを改善したかった:41%
- 肌のくすみや赤みを整えたかった: 27%
- 肌質をトータルで整えたかった: 18%
- 医師にすすめられたから: 14%
京都でアンケート調査の結果、68%の方が、「色ムラや肌トーンの改善」を理由にフォトフェイシャルを選択していました。
編集部このことから、京都では肌全体の印象を底上げしたいという目的で、フォトフェイシャルを選ぶ方が多いことが分かります。
特に、京都で以下の悩みに当てはまる方は、IPL光治療によるトーンアップ効果が高くおすすめできます。
- 肌のくすみが気になる
- 透明感を高めたい
- メイクでごまかすのが大変
京都でフォトフェイシャルが安いおすすめのクリニックは、湘南美容クリニックです。
特に初めてフォトフェイシャルの施術を受ける方には、無料カウンセリングで分からないことや施術内容を丁寧に説明してくれるのでおすすめできます。

※カウンセリングのみでも対応しています。
\【初回限定】フォトフェイシャルが7,800円(税込)/
無料カウンセリング予約でフォトフェイシャルが
初回限定で7,800円(税込)で受けられます。
※無理な勧誘はなく、カウンセリングは完全無料です。
編集部ここからは、看護師の資格を持つ、まぶたのクリニックのコラム編集部が以下の内容を解説します。
京都でフォトフェイシャルが安いクリニックのおすすめの選び方を解説!

京都でフォトフェイシャルが安いクリニックのおすすめの選び方を紹介する前に、まずはフォトフェイシャルについて解説します。
フォトフェイシャルとは、IPL(光エネルギー)を肌に照射することで、シミ・そばかす・赤み・毛穴の開き・くすみなどをまとめてケアできる美容施術です。
\IPL光治療の施術イメージ/

編集部メラニンや毛細血管に反応する光を照射し、肌トラブルの原因にアプローチすることで、透明感のある明るい肌へ導きます。
京都で「なんとなく肌の調子が悪い」「全体的にトーンアップしたい」という方にもおすすめの施術です。
しかし、京都で肌質改善を考えている方の中には、IPL光治療だけでなくレーザー治療も検討している方が多いのではないでしょうか。
そのため、まずはそれぞれの施術の特徴や違いを理解した上で、自分の肌悩みに適した方法を選ぶことがおすすめです。
| 比較項目 | フォトフェイシャル | レーザー治療 |
|---|---|---|
| 作用の仕組み | 広い波長の光を照射し、肌全体にアプローチ | 特定の波長のレーザーで、特定の肌悩みにアプローチ |
| 得意な悩み | シミ・そばかす・くすみ・赤み・毛穴・肌質改善 | 濃いシミ・肝斑・ニキビ跡・色素沈着・深い毛穴 |
| ダウンタイム | ほぼなし/赤みが出る程度 | 施術内容によってはかさぶたや赤みが出る |
| おすすめの方 | 肌全体をトーンアップしたい方 | 濃いシミをしっかり取りたい方 |
| 費用感 | 比較的安い金額 | 内容によって高額になる場合も |
編集部フォトフェイシャルは肌の底上げタイプでくすみ・赤み・軽いシミなど広くまんべんなく改善したい方におすすめです。
当記事おすすめの湘南美容クリニックでは、無料カウンセリングで医師と肌の状態を確認しながら、自分に合った施術方法を相談してみましょう。
※無料カウンセリング予約完了で初回限定価格が受けられます。
\【初回限定】IPL光治療が7,800円(税込)でお得!/
無料カウンセリング予約でフォトフェイシャルが
初回限定で7,800円(税込)で受けられます。
※無理な勧誘はなく、カウンセリングは完全無料です。
ここからは、京都でフォトフェイシャルが安いクリニックのおすすめの選び方を3つ紹介します。
京都でフォトフェイシャルが安いクリニックのおすすめの選び方①料金を比較する

京都でフォトフェイシャルが安いクリニックのおすすめの選び方で、まずクリニックの料金を比較しましょう。
フォトフェイシャルは、1回あたりの料金だけでなく、照射範囲・回数・コース料金の有無によって総額が大きく変わります。
編集部例えば同じ10,000円でも照射範囲が異なっていたり、京都のクリニックによってはコース割引を実施している場合もあります。
京都でなるべく安い料金でフォトフェイシャルを受けたい方は、1回の料金・コース料金・照射範囲をセットで比較するのがおすすめです。
京都で特に人気なのが、顔全体の施術コースで、シミやそばかすを改善したい方にはおすすめです。
ここで、京都で実際にフォトフェイシャルの施術を受けた方に、効果を実感できたタイミングについてアンケート調査を実施しました。

京都でフォトフェイシャルの効果実感時期に関するアンケート調査
調査期間
・2025年4月最新版
調査実施
・まぶたのクリニック
調査方法
・CrowdWorks・街頭インタビュー調査
調査対象
・フォトフェイシャルを受けた82人
調査結果:
- 1週間以内に肌トーンが明るくなったと感じた: 34%
- 2〜3週間後にシミが薄くなったと実感: 32%
- 3回以上の施術で明確な効果を感じた: 23%
- あまり変化を感じなかった: 11%
京都でアンケート調査の結果、66%の方が「3週間以内に効果を実感」と回答しました。
編集部この結果からも分かるように、フォトフェイシャルは徐々に肌質が整っていき、回数を重ねるほど効果を実感しやすい施術です。
特に、肌トーンの明るさやシミの薄さといった変化は、1回目よりも2〜3回目以降の方が分かりやすいという声も多くありました。
そのため、京都でフォトフェイシャルを検討している方は、単発プランだけでなく、お得な複数回コースもあわせてチェックすると良いでしょう。
当記事おすすめの京都の湘南美容クリニックでは、初回限定で顔全体のIPL光治療が7,800円(税込)で受けられます。
他にも、顔全体5回コースが通常価格より安い、47,400円(税込)で受けられるので、より透明感のある肌を目指したい方にはおすすめです。
\京都で透明感のある肌を目指したい方におすすめ/

\IPL光治療の顔全体プランが安い料金で受けられる/
無料カウンセリング予約でフォトフェイシャルが
初回限定で7,800円(税込)で受けられます。
※無理な勧誘はなく、カウンセリングは完全無料です。
京都でフォトフェイシャルが安いクリニックのおすすめの選び方②施術の効果を確認する

京都でフォトフェイシャルが安いクリニックのおすすめの選び方で、次に施術の効果を確認しましょう。
料金だけでなく施術効果が分かる情報があると安心です。
料金が安いだけで選んでしまうと、「効果に満足できなかった」というケースもあります。
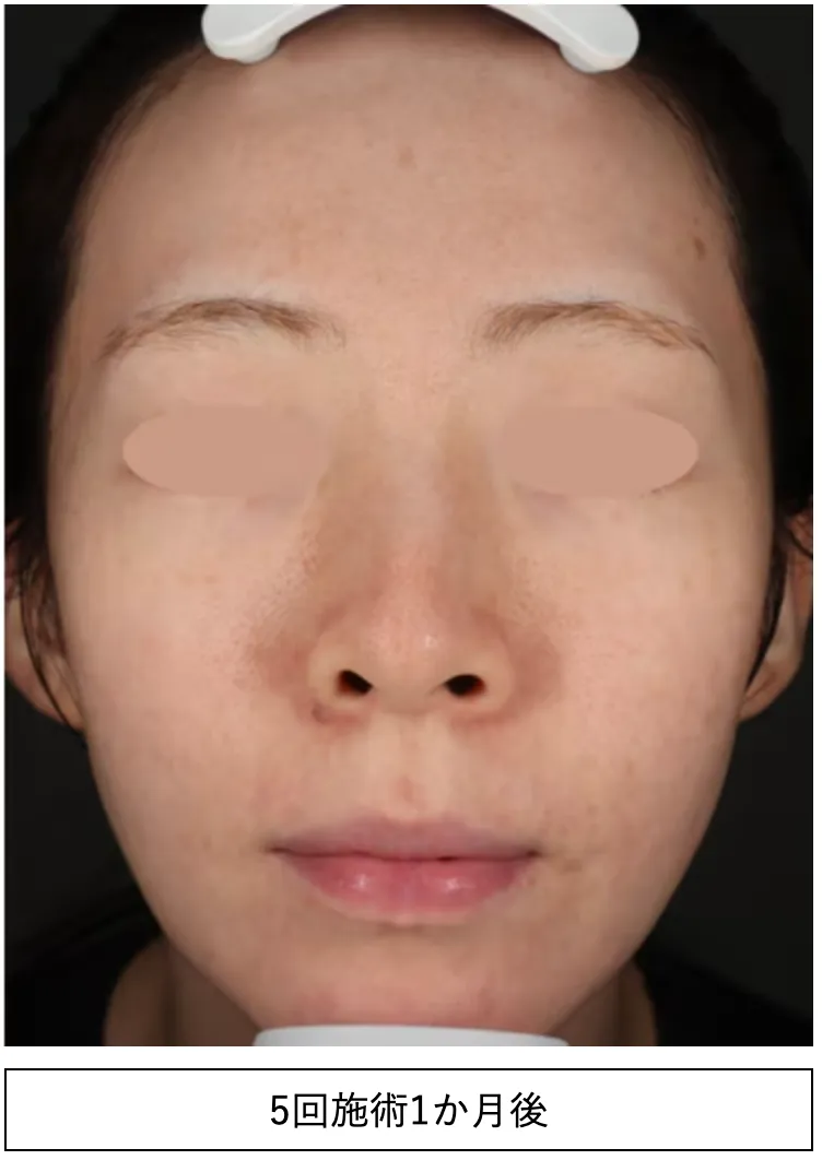
編集部シミやくすみなどの肌悩みがある方は、自分と似た肌タイプの症例写真を参考にするのがおすすめです。
当記事おすすめの湘南美容クリニックで、フォトフェイシャルの施術を受けた方の症例写真を紹介します。


実際の仕上がりがイメージできるので、施術を検討するときの安心材料になります。
京都でフォトフェイシャルの施術を受けた方は、何を重視してフォトフェイシャルを選んだのでしょうか。

京都でフォトフェイシャルの選択理由に関するアンケート調査
調査期間
・2025年4月最新版
調査実施
・まぶたのクリニック
調査方法
・CrowdWorks・街頭インタビュー調査
調査対象
・フォトフェイシャルを受けた82人
調査結果:
- シミやくすみの改善に実績があると聞いたから:39%
- 痛みやダウンタイムが少ないと知っていたから:28%
- 肌への負担が少なく続けやすい施術だと思ったから: 20%
- 他のレーザーより料金が手頃だったから: 13%
京都でアンケート調査の結果、67%の方が「効果と肌へのやさしさ」が両立できる点で選択したと回答しました。
編集部つまり、「しっかり効果を感じたいけど、刺激の強い施術は不安…」
という方が多い傾向にあるようです。
フォトフェイシャルは、IPLという光を使った施術で、肌への負担を抑えながらシミやくすみにアプローチできるため、初めて美容施術を受ける方にも人気があります。
当記事おすすめの湘南美容クリニックのIPL光治療は3種類あります。
- フォトダブル|初回限定:7,800円
- フォトトリプル|初回限定:10,800円
- フォトRF|初回限定:6,800円
肌質や予算に合わせて施術を選べるので、京都で初めてフォトフェイシャルを受ける方にはおすすめできます。
編集部まずは湘南美容クリニックの無料カウンセリングで、医師と相談してみましょう。
医師が丁寧に説明してくれるので、フォトフェイシャルの施術内容がよく分からず不安な方にもおすすめです。
※カウンセリングのみでも対応しています。
\透明感のある肌を目指したい方におすすめのIPL光治療/
無料カウンセリング予約でフォトフェイシャルが
初回限定で7,800円(税込)で受けられます。
※無理な勧誘はなく、カウンセリングは完全無料です。
京都でフォトフェイシャルが安いクリニックのおすすめの選び方③クリニックの評価を確認する

京都でフォトフェイシャルが安いクリニックのおすすめの選び方で、最後にクリニックの評価を確認しましょう。
京都でフォトフェイシャルができるクリニックによっては「対応が悪かった」「勧誘がしつこかった」などの声があります。
編集部公式サイトだけでなく、体験談やSNSで実際に通った方の声をチェックすることで、施術後の満足度や対応の丁寧さが分かります。
京都でフォトフェイシャルができるクリニックで以下のポイントをチェックしましょう。
・スタッフや医師の対応は丁寧か
・施術の効果に満足している方が多いか
・予約の取りやすさや院内の雰囲気
・無理な勧誘がないか
信頼できるクリニックを選ぶことで、安心してフォトフェイシャルの施術を受けられます。
実際に、京都の湘南美容クリニックでフォトフェイシャルを受けた方の体験談を紹介します。

湘南美容クリニック
カウンセリングでは、しっかりと悩みを聞いていただき、医師の方からコストや悩みに合わせて複数の提案をしていただけました。施術中も音楽を流してくださったり、声をかけていただいたりと、リラックスした状態で安心して受けられました。丁寧なご対応、ありがとうございました。
引用元:GoogleMaps

湘南美容クリニック
ありがとうございました。
初めての事だったので不安はやっぱり大きかったですが、
痛みも少なくて、
先生も優しくて安心感がありました。
また他の施術する時などお願いしたいと思います。
引用元:GoogleMaps
どちらの体験談も、「丁寧な対応」「安心感」「痛みが少なかった」 といった声が目立ちました。
京都でフォトフェイシャルが初めてで不安がある方でも、実際に施術を受けた方の感想を見ることで、イメージがつきやすくなります。
京都でおすすめの湘南美容クリニックでは、肌の状態を見ながら最適な施術を提案してくれるため、納得してから施術に進めます。
京都で「いきなり施術は不安…」「まずは悩みを相談したい」という方は、まず無料カウンセリングを受けてみるのがおすすめです。
\親身で丁寧なカウンセリングで安心できる/

※カウンセリングのみでも対応しています。
\スタッフの評判が高いから安心して任せられる!/
無料カウンセリング予約でフォトフェイシャルが
初回限定で7,800円(税込)で受けられます。
※無理な勧誘はなく、カウンセリングは完全無料です。
京都でフォトフェイシャルが安いおすすめのクリニック10選!【専門家が調査】
湘南美容クリニック 京都3院【75万件以上の症例実績を活かした施術を提供!】
京都




無料カウンセリング |
肌診断付き |
アフターケア |
キャンペーン |
土日祝対応 |
WEB予約 |
| ポイント | 赤みや腫れなどのダウンタイムがほぼない! |
|---|---|
| 保証 | 記載なし |
| 割引・キャンペーン | 初回限定価格あり モニター割引で最大約62%OFF ポイント会員制度:ご利用金額の1%~6%ポイント還元 お友達紹介制度:紹介者とお友達に5,000円分SBCポイントプレゼント SBC公式アプリでメールアドレス登録とLINE連携で2,000円OFFチケットプレゼント |
| 無料カウンセリング | あり |
| 決済方法 | 現金 クレジットカード デビットカード 医療ローン |
| 院数 | 258院(※2025年10月31日時点) |
| 営業時間 | 10:00~19:00 (京都院の場合) |
| 定休日 | 元旦 (京都院の場合) |
\年中無休・低価格・短時間施術で継続しやすい!/
- 最短15分で施術が完了するため忙しい方も受けやすい!
- 初回限定価格でお得に美肌ケアを始められる!
- しみ・くすみ・赤ら顔にも高い効果を発揮!
湘南美容クリニック 京都3院は、豊富なフォトフェイシャルの施術実績を持つ大手クリニックです。 初回なら、1回6,800円(税込)という安い料金でフォトフェイシャルを提供しており、初めての方でも気軽に美肌ケアを始められます。 また、5回のコースプランなら1回あたりの料金がさらに安いので、継続的にフォトフェイシャルを受けたい方にもおすすめです。 さらに、紹介割やポイント会員制度など、お得に施術を受けられる環境が整っている京都でおすすめのクリニックです。
\年中無休・低価格・短時間施術で継続しやすい!/
湘南美容クリニック 京都3院のフォトフェイシャルの料金(税込)
初回限定価格:6,800円(通常価格:9,980円) 5回:44,000円
\年中無休・低価格・短時間施術で継続しやすい!/

カウンセリングでは、しっかりと悩みを聞いていただき、医師の方からコストや悩みに合わせて複数の提案をしていただけました。施術中も音楽を流してくださったり、声をかけていただいたりと、リラックスした状態で安心して受けられました。丁寧なご対応、ありがとうございました。
引用:Google Maps

ありがとうございました。
初めての事だったので不安はやっぱり大きかったですが、
痛みも少なくて、
先生も優しくて安心感がありました。
また他の施術する時などお願いしたいと思います。
引用:Google Maps
地下鉄烏丸線四条駅徒歩8分 阪急京都線河原町駅徒歩8分 (京都院の場合)
京都府京都市下京区四条通柳馬場東入立売東町12-1日土地京都四条通ビル5階 (京都院の場合)
\年中無休・低価格・短時間施術で継続しやすい!/
品川スキンクリニック 京都院【アフターフォロー体制が整っていて安心!】
京都




無料カウンセリング |
肌診断付き |
アフターケア |
キャンペーン |
土日祝対応 |
WEB予約 |
| ポイント | 火傷のリスクも低くダウンタイムがほぼない! |
|---|---|
| 保証 | 記載なし |
| 割引・キャンペーン | 初回限定価格あり BMC会員特典:対象治療が20%OFF(お誕生日月が25%OFF&1,000ptプレゼント) LINE友だち追加でお得なクーポンプレゼント アンケート回答で1,000円OFFクーポンプレゼント モニター割引あり お友達紹介制度:お互い5,000ポイントプレゼント |
| 無料カウンセリング | あり |
| 決済方法 | 現金 モバイル決済 デビットカード クレジットカード 医療ローン |
| 院数 | 39院 |
| 営業時間 | 10:00~19:00 |
| 定休日 | なし |
\1回8,640円(税込)!低予算で美肌を叶える!/
- 施術直後からもメイクが可能でお出かけ前にも受けやすい!
- ニキビやシミなど複合的な肌トラブルにも適している!
- 手の甲の施術にも対応している!
品川スキンクリニック 京都院は、ニキビ跡やシミ・くすみに効果的なフォトフェイシャルを安い料金で提供している京都でおすすめのクリニックです。 1回8,640円(税込)という安い料金で受けられるため、フォトフェイシャルが初めての方にもおすすめと言えます。 また、フォトフェイシャルはこれまで難しいとされていた薄いシミにも効果的で、色味が濃くなる前に改善できる点も魅力です。 手の甲の施術にも対応しているため、透明感のある肌を安い予算で目指したい方におすすめのクリニックです。
\1回8,640円(税込)!低予算で美肌を叶える!/
品川スキンクリニック 京都院のフォトフェイシャルの料金(税込)
初回限定価格:8,640円 2回目以降 BMC会員価格:13,710円 通常価格:18,680円 4回コース:48,600円
\1回8,640円(税込)!低予算で美肌を叶える!/

施術前に看護師さんや先生からとても丁寧なカウンセリングと説明があり、安心して施術を受けることができました。
施術中は看護師さんが優しく丁寧な声掛けで、痛みなども確認してくださり、お肌の扱いもとても優しく丁寧で、対応がとても良かったです。
待ち時間も他のところに比べて、少なくてスムーズでした。また通いたいと思います。
引用:Google Maps

初めて美容クリニックに受診したため緊張していましたが、先生や看護師さんが事前の説明を十分にしてくださり緊張がほぐれました。また、看護師さんの治療中のお声がけが優しく安心して治療が受けられました。
クリニック内はとても綺麗で清潔感があり、待ち時間も気持ちよく過ごすことができました。また受診したいと思います。
引用:Google Maps
JR京都駅烏丸中央口徒歩約5分
京都府京都市下京区烏丸通七条下ル 東塩小路町735-1京阪京都ビル5F
\1回8,640円(税込)!低予算で美肌を叶える!/
共立美容外科 京都院【ワンドクター制により結果重視の施術を受けられる!】
京都




無料カウンセリング |
肌診断付き |
アフターケア |
キャンペーン |
土日祝対応 |
WEB予約 |
| ポイント | 患者さんの肌の状態に合わせたカスタマイズ施術を提供! |
|---|---|
| 保証 | 記載なし |
| 割引・キャンペーン | モニター価格あり 共立ポイントシステム ・お誕生日特典:誕生月のご来院で10,000ポイントプレゼント ・紹介特典:1名につき5,000ポイントプレゼント ・口コミご協力特典:500ポイントプレゼント ・Instagramフォロー特典:500ポイントプレゼント |
| 無料カウンセリング | あり |
| 決済方法 | 現金 デビットカード クレジットカード 医療ローン |
| 院数 | 26院 |
| 営業時間 | 10:00~19:00 |
| 定休日 | なし |
\回数プランがお得!複数の肌の悩みにもしっかり対応/
- 8種類の異なる波長を使い分け様々な肌トラブルに対応!
- 肌のキメや質感を整え肌を健やかな状態に導く!
- 肌へのダメージや施術時の痛みが少ない!
共立美容外科 京都院は、肌トラブルの原因となる組織に直接アプローチし、シミや赤み・毛穴トラブルを予防するフォトフェイシャルを安い料金で提供しています。 8種類の波長を使い分けているため、さまざまな肌の悩みにもしっかり対応でき、高い美肌効果を得られる点が魅力です。 また、3回・5回のコースプランでは1回あたりが安い料金になるため、フォトフェイシャルの継続を検討している方にも向いています。 京都駅から徒歩3~4分という便利な立地にあり、年中無休・19時までの診療で、忙しい方もフォトフェイシャルを受けやすいおすすめのクリニックです。
\回数プランがお得!複数の肌の悩みにもしっかり対応/
共立美容外科 京都院のフォトフェイシャルの料金(税込)
1回:33,000円 3回:89,100円 5回:140,800円
\回数プランがお得!複数の肌の悩みにもしっかり対応/

初めて施術を受けました。
丁寧なカウンセリングと優しいスタッフの方のおかげで、安心した時間を過ごすことができました。
出来上がりも満足です。
引用:Google Maps

初めての施術で不安もあったのですが、きちんとカウンセリングしていただき理想のかたちになりました。また、看護師の方も優しく、リラックスして施術をうけることが出来ました!
引用:Google Maps
阪急京都線鳥丸駅地下通路15番出口徒歩3分 市営地下鉄鳥丸線四条駅地下通路1番出口徒歩4分・15番出口徒歩3
京都府京都市下京区四条通高倉西入立売西町76四条高倉大西ビル6F
\回数プランがお得!複数の肌の悩みにもしっかり対応/
エルムクリニック 京都院【最適なプランを提案する肌の専門クリニック!】
京都




無料カウンセリング |
肌診断付き |
アフターケア |
キャンペーン |
土日祝対応 |
WEB予約 |
| ポイント | 的確な診断と施術により高い美肌効果を実現! |
|---|---|
| 保証 | 記載なし |
| 割引・キャンペーン | 記載なし |
| 無料カウンセリング | あり |
| 決済方法 | 現金 クレジットカード 医療ローン |
| 院数 | 9院 |
| 営業時間 | 10:00~19:00 |
| 定休日 | 不定休 |
\短時間施術で継続しやすい!パックプランがお得/
- メラニン色素に反応しシミやくすみを改善に導く!
- 肌の状態に合わせた施術により短期間でも効果を実感しやすい!
- 症例写真の公開により肌の変化をイメージしやすい!
エルムクリニック 京都院は、これまで9,000件以上のフォトフェイシャルの実績を持つ京都でおすすめのクリニックです。 患者さんの肌の状態や悩み・理想に合わせて6種類の波長を使い分けているため、効率的にフォトフェイシャルを受けられます。 また、都度払いプランのほかに、1回あたりが安い料金になる6回パックプランもあるため、低予算で美肌を目指したい方におすすめです。 年中無休で最寄り駅から徒歩3分の場所にあるため、仕事や学校帰りにもフォトフェイシャルを受けやすい京都のクリニックです。
\短時間施術で継続しやすい!パックプランがお得/
エルムクリニック 京都院のフォトフェイシャルの料金(税込)
パック料金(6回):79,000円 通常料金:15,800円 デコルテ パック料金(6回)91,500円 通常料金:18,300円 顔 + デコルテ パック料金(6回):168,500円 通常料金:33,700円 手の甲と指 パック料金(6回):50,400円 通常料金:10,080円 背中半分 パック料金(6回):154,000円 通常料金:30,800円 背中全体 パック料金(6回):299,000円 通常料金:59,800円 両上腕 パック料金(6回):129,000円 通常料金:25,800円 両腕全体 パック料金(6回):249,000円 通常料金:49,800円
\短時間施術で継続しやすい!パックプランがお得/

医師の診察は分かりやすく説明してくれて安心して施術を受けることが出来ました。
実際の施術は看護師でしたが、こちらも丁寧にしっかり行って頂きました。
引用:Google Maps

こちらの美容クリニックにカウンセリングへ行かせていただきました。初めての美容皮膚科でしたが、しっかりとお話を聞いていただき、様々な最新機器も実際に見せていただき、とても丁寧に説明してくださったので安心できました。
引用:Google Maps
阪急河原町駅10番出口徒歩3分
京都府京都市下京区寺町通四条下る貞安前之町594 岡本鏡店ビル 4階
\短時間施術で継続しやすい!パックプランがお得/
あおばクリニック 京都四条河原町院【丁寧なカウンセリングで悩みを相談しやすい!】
京都




無料カウンセリング |
肌診断付き |
アフターケア |
キャンペーン |
土日祝対応 |
WEB予約 |
| ポイント | 完全都度払い制により気軽に施術を受けられる! |
|---|---|
| 保証 | 記載なし |
| 割引・キャンペーン | 支払いに使用できるポイント制あり |
| 無料カウンセリング | あり |
| 決済方法 | 現金 クレジットカード 二次元コード決済 |
| 院数 | 34院 |
| 営業時間 | 11:00~13:30 15:00~19:00 |
| 定休日 | 水曜日 木曜日 |
\単発プランで通いやすい!低予算で美肌を叶える/
- 火傷や色素沈着のリスクがほとんどない!
- 薄いシミやそばかすにも高い効果を発揮!
- 当日施術も可能なため忙しい方も施術を受けやすい!
あおばクリニック 京都四条河原町院は、肌への負担が少なく高い美肌効果を発揮するフォトフェイシャルを1回のみの都度払いプランで提供している京都でおすすめのクリニックです。 患者さんの肌をしっかり確認し、シミやそばかす・くすみなどの状態に最適な波長で施術を行うため、より高い効果を得られます。 1回9,800円(税込)と、京都エリアでも比較的安い料金でフォトフェイシャルを提供しているため、気軽に美肌ケアを始められます。 最短20分で施術が完了し、京都駅に直結した立地にあるため、忙しい方もフォトフェイシャルを受けやすいクリニックです。
\単発プランで通いやすい!低予算で美肌を叶える/
あおばクリニック 京都四条河原町院のフォトフェイシャルの料金(税込)
9,800円
\単発プランで通いやすい!低予算で美肌を叶える/

受付、カウンセリング、施術全てのスタッフさんが丁寧に対応してくださり、院内もキレイで心地良く個人的には大満足でした。コスパも良く勧誘もないので、安心して受けられます。キャンセルに関しては厳しいルールを設けられてますが、その分混み合ったり待ち時間が長くなることもないので、全てスムーズに案内してくださりこちらとしても有難く思います。今後も通いたいです。
引用:Google Maps

受付のお姉さんも施術してくれたお姉さんもすごく感じの良い方でした!!
また行きます!
引用:Google Maps
京都四条河原町駅東改札口3番出口直結
京都府京都市下京区四条通河原町北東角コトクロス阪急河原町7F
\単発プランで通いやすい!低予算で美肌を叶える/
くみこクリニック 京都2院【凹凸に合わせた照射でムラのない仕上がりを実現!】
京都




無料カウンセリング |
肌診断付き |
アフターケア |
キャンペーン |
土日祝対応 |
WEB予約 |
| ポイント | 回数プランだとお得に施術を継続できる! |
|---|---|
| 保証 | 記載なし |
| 割引・キャンペーン | 記載なし |
| 無料カウンセリング | 初診料:2,200円 |
| 決済方法 | 現金 クレジットカード QRコード決済 |
| 院数 | 2院 |
| 営業時間 | 10:00~14:00 15:00~19:00 (京都駅前院の場合) |
| 定休日 | 水曜日 木曜日 (京都駅前院の場合) |
\1回でも効果を実感!継続しやすいプランもある!/
- 1回の施術でも高い効果を発揮する機器を使用!
- 完全予約制でスムーズに施術を受けられる!
- 肌のハリ・弾力の回復やくすみなどの改善も期待できる!
くみこクリニック 京都2院は、1回の施術でも肌の変化を実感できる最新機器のフォトフェイシャルを導入している京都でおすすめのクリニックです。 また、フォトフェイシャルはコラーゲンの生成やターンオーバーを促す効果も期待できるため、継続することで健やかな肌を目指せます。 1回のみのプランもありますが、3回・5回のコースプランでは、より安い料金でフォトフェイシャルを継続できる点が魅力です。 京都には2院を展開しており、駅近・完全予約制・年中無休のため、忙しい方も通いやすいおすすめのクリニックです。
\1回でも効果を実感!継続しやすいプランもある!/
くみこクリニック 京都2院のフォトフェイシャルの料金(税込)
全顔 単回:23,100円 3回:59,400円 5回:99,000円
\1回でも効果を実感!継続しやすいプランもある!/

初めは迷いもあったものの、色々相談にのっていただいて自分にあったものをお勧めしていただいたので納得した上で施術を始めることができました。
まだ何回かあるコースの途中ですが、だんだん肌の状態が良くなっていってるのでとても満足しています。
良いクリニックに出会えてとても良かったです。
引用:Google Maps

最初の診察で塗り薬と内服薬の処方をいただき、フォトフェイシャルの3回分でお世話になっています。
2回目ですが、周りからも赤みも落ち着いてきたと言われます。
先生もスタッフの方も真摯に相談に乗っていただき信頼できるクリニックだと思います。
引用:Google Maps
京都駅徒歩3分
京都府京都市下京区塩小路通烏丸西入東塩小路町579-1山崎メディカルビル4階
\1回でも効果を実感!継続しやすいプランもある!/
エクリュクリニック【紹介割り・ペア割・回数コースなど低予算で施術可能!】
京都




無料カウンセリング |
肌診断付き |
アフターケア |
キャンペーン |
土日祝対応 |
WEB予約 |
| ポイント | 初回価格・回数プランでお得に美肌を目指せる! |
|---|---|
| 保証 | 記載なし |
| 割引・キャンペーン | 紹介割でクーポン券プレゼント ペア割で10%off |
| 無料カウンセリング | あり |
| 決済方法 | 記載なし |
| 院数 | 1院 |
| 営業時間 | 10:00~19:00 |
| 定休日 | 金曜日 日曜日 |
\初回限定価格でお得に美肌ケアをスタート!/
- 平日19時まで診療していて仕事や学校帰りにも通いやすい!
- 完全予約制で他の患者さんとの鉢合わせを防げる!
- 幅広い肌の悩みに対応している!
エクリュクリニックは、丁寧で的確な施術により、1回でも効果を実感できるフォトフェイシャルを安い料金で提供している京都のクリニックです。 また、より効果を実感できるように、1回あたりが安い料金になる5回のコースプランも用意されています。 そのため、安い予算でフォトフェイシャルを受けたい・シミやくすみの改善を目指したいという方にもおすすめです。 フォトフェイシャルは、薄いシミやニキビ跡・赤ら顔など、幅広い肌の悩みに対応しているため、肌トラブルに悩んでいる方にもぴったりです。
\初回限定価格でお得に美肌ケアをスタート!/
エクリュクリニックのフォトフェイシャルの料金(税込)
初回限定価格1回:14,800円 通常価格:17,900円 3回:50,700円 5回:82,000円
\初回限定価格でお得に美肌ケアをスタート!/

通い始めてもうすぐ2年になります。いつもお世話になってます。私の肌はなかなか手強い難しい肌なのですが、ここのクリニックさんでかなり良くなっています。スタッフの方も、医師の方もみなさんお肌がとても綺麗です。
引用:Google Maps

まるでおしゃれなカフェ?思うほど洗練された清潔な雰囲気のクリニックです。先生スタッフさん共に丁寧に説明してくださり安心して施術を受けられました。美容皮膚科はたくさんありますがぜひリピートしたい!と思えるクリニックです。
引用:Google Maps
京都河原町駅徒歩10分
京都府京都市中京区新京極通三条下ル桜之町407-1 詩の小路ビル2F
\初回限定価格でお得に美肌ケアをスタート!/
京都駅前 まつたに乳腺・形成外科クリニック【トライアル価格で気軽に施術可能!】
京都




無料カウンセリング |
肌診断付き |
アフターケア |
キャンペーン |
土日祝対応 |
WEB予約 |
| ポイント | たるみやほうれい線の改善も期待できる! |
|---|---|
| 保証 | 記載なし |
| 割引・キャンペーン | 全顔初回トライアル価格あり お友達紹介で20%OFF |
| 無料カウンセリング | 初診料:2,200円 初診+治療で無料 |
| 決済方法 | 記載なし |
| 院数 | 1院 |
| 営業時間 | 月~土 9:00~12:00 13:00~16:00 月・火・金 16:30~19:00 |
| 定休日 | 水曜日午後 日曜日 祝日 |
\初回価格・友達紹介割りで低コストで美肌を目指せる!/
- 施術時間が短くダウンタイムも少ない!
- 色素沈着や火傷などのリスクがほとんどない!
- 土曜日も9時から16時まで診療していて通いやすい!
京都駅前 まつたに乳腺・形成外科クリニックは、女性の「キレイ」を叶えるために最適なプランで美容医療を提供している京都でおすすめのクリニックです。 フォトフェイシャルは、シミやくすみの他に、たるみやほうれい線など、加齢による肌の悩みにも高い効果を発揮します。 初回なら、トライアル価格の11,000円(税込)でフォトフェイシャルを受けられるため、「安い予算で試したい」という方にもおすすめです。 また、友達紹介割りを利用すると20%OFFとなり、さらに安い料金になるため、友人と一緒にフォトフェイシャルを始めたい方にも最適なクリニックです。
\初回価格・友達紹介割りで低コストで美肌を目指せる!/
京都駅前 まつたに乳腺・形成外科クリニックのフォトフェイシャルの料金(税込)
1Pass 初回トライアル価格:11,000円
\初回価格・友達紹介割りで低コストで美肌を目指せる!/

お友達に紹介してもらいはじめて来院しました。
院内は清潔感があります。
先生がとても優しい雰囲気で説明もわかりやすく安心しました。
施術をしてくださった看護師さんも説明が的確で痛みなども確認にながらしてくださったのでよかったです。
また予約したいと思います。
引用:Google Maps

院長始め看護師、スタッフの方々が親切丁寧、安心して通院出来ます。
引用:Google Maps
京都駅八条口(南側) 徒歩30秒
京都府京都市南区東九条上殿田町53-1 第一土木ビル5階
\初回価格・友達紹介割りで低コストで美肌を目指せる!/
あや皮フ科クリニック【心身への負担が少なく高い効果を発揮する施術を提供!】
京都




無料カウンセリング |
肌診断付き |
アフターケア |
キャンペーン |
土日祝対応 |
WEB予約 |
| ポイント | 一人ひとりの肌悩みに応じて最適な波長フィルターを選択! |
|---|---|
| 保証 | 記載なし |
| 割引・キャンペーン | 記載なし |
| 無料カウンセリング | 初回:3,300円 2回目以降:1,100円 |
| 決済方法 | 記載なし |
| 院数 | 1院 |
| 営業時間 | 9:00~12:00 14:30~17:30 |
| 定休日 | 水曜日 金曜日午前 土曜日 日曜日 祝日 |
\的確な施術で1回でも効果を実感!すぐのメイクもOK/
- 施術中の痛みが少なくすぐのメイクが可能!
- コラーゲン生成により肌のキメや質感が整う!
- 15分~20分程度で施術が完了する!
あや皮フ科クリニックは、最寄りのバス停から徒歩3~5分の立地にあり通いやすい京都のクリニックです。 フォトフェイシャルでは、5種類の波長フィルターを使い分けているため、ニキビやシミなど、異なる肌トラブルも効率よくケアできます。 また、表皮へのダメージがほとんどなく、施術直後のメイクも可能なので、忙しい方もフォトフェイシャルを受けやすい点が魅力です。 都度払いも可能ですが、3回セットだと1回あたりが安い料金になるため、コストを抑えてフォトフェイシャルを始めたい方にもおすすめです。
\的確な施術で1回でも効果を実感!すぐのメイクもOK/
あや皮フ科クリニックのフォトフェイシャルの料金(税込)
フル照射 ドクター施術:33,000円 看護師施術:22,000円 3回セット 看護師施術:59,400円
\的確な施術で1回でも効果を実感!すぐのメイクもOK/

院内もとても綺麗に掃除してあり清潔感がある。
受付の方も細かいところに気が付く方が多い印象でした。
先生もお話をしっかり聞いてくれるかたなので、良い病院だなと思いました。
引用:Google Maps

いつもお世話になりありがとうございます。
誠実なお人柄で優しい先生です。
良くなるように心から思ってくださり治療をしてくださり感謝しています。
先生、看護師の方、受付の方々
全ての方が優しいいい方です。
これからもずっとよろしくお願いいたします。
引用:Google Maps
千本中立売バス停北へ徒歩3~5分
京都府京都市上京区千本通一条上る北伊勢殿構町695グランコート千本一条1F
\的確な施術で1回でも効果を実感!すぐのメイクもOK/
烏丸御池ビューティークリニック【初めての方も受診しやすい環境づくりを徹底している!】
京都




無料カウンセリング |
肌診断付き |
アフターケア |
キャンペーン |
土日祝対応 |
WEB予約 |
| ポイント | デメリットやリスクを含めた説明で患者さんの不安を軽減! |
|---|---|
| 保証 | 記載なし |
| 割引・キャンペーン | 記載なし |
| 無料カウンセリング | あり |
| 決済方法 | 現金 クレジットカード ローン可(予約時に要確認) |
| 院数 | 1院 |
| 営業時間 | 10:00~19:00 |
| 定休日 | 木曜日 日曜日 その他不定休 |
\見積もり通りの金額で安心!低予算で美肌を目指せる!/
- 追加料金が発生しないため安心!
- 透明感がアップしてハリ・ツヤのある肌を目指せる!
- 冷却機能により痛みや刺激がほとんどない!
烏丸御池ビューティークリニックは、実績のある安全性の高い施術のみを提供している京都でおすすめのクリニックです。 フォトフェイシャルでは、痛みが少なく、シミやくすみの他に、ほうれい線や小じわにも効果的な最新の機器を使用しています。 比較的安い料金で施術を提供していますが、3回・5回のコースプランだと、よりコストを抑えてフォトフェイシャルを受けられます。 都度払いも可能なうえ、アクセスしやすい立地にあるため、フォトフェイシャルを気軽に受けられるクリニックを探している方にもおすすめです。
\見積もり通りの金額で安心!低予算で美肌を目指せる!/
烏丸御池ビューティークリニックのフォトフェイシャルの料金(税込)
1回:17,000円 3回:45,000円 5回:70,000円
\見積もり通りの金額で安心!低予算で美肌を目指せる!/

美容外科で1番最高です!先生は的確に親切にカウンセリングしてくれます。施術も大満足でした!看護師さんや受付の方もとても優しく丁寧です。院内も清潔感があり駅からも近いので行きやすい。他の施術も検討しています。
引用:Google Maps

当日急遽予約しましたが、先生も看護師さんもとても丁寧に対応いただき満足です。旅行中に伺ったのですが、このようなクリニックが家の近くにほしいです。。
引用:Google Maps
京都市営地下鉄烏丸御池駅2番出口徒歩約1分 阪急烏丸駅徒歩約10分
京都府京都市中京区龍池町448-2伊と幸ビル5階
\見積もり通りの金額で安心!低予算で美肌を目指せる!/
京都でフォトフェイシャルが安いおすすめのクリニックで施術を受けた方にアンケート調査!

当記事では、京都でフォトフェイシャルが安いおすすめのクリニックで施術を受けた方にアンケート調査を実施しました。
実際のアンケート内容を参考にして、京都でフォトフェイシャルを検討してみてください。
フォトフェイシャルの施術中、痛みはどう感じましたか?

京都でフォトフェイシャルを検討している方の中には、痛みがどのくらいなのか気になる方が多いのではないでしょうか。
編集部いくら肌質を改善したくても、「痛すぎるのは嫌だ」と感じる方は多いはずです。
そこで、実際に京都でフォトフェイシャルが安いおすすめのクリニックで施術を受けた方に施術中の「痛み」について伺ってみました。

京都でフォトフェイシャルの施術中の痛みに関するアンケート調査
調査期間
・2025年4月最新版
調査実施
・まぶたのクリニック
調査方法
・CrowdWorks・街頭インタビュー調査
調査対象
・フォトフェイシャルを受けた82人
調査結果:
- ほとんど痛みはなかった: 35%
- 軽くパチッとした刺激を感じた: 41%
- 熱感がやや気になった: 14%
- 痛みが強かった: 10%
京都でアンケート調査の結果、76%の方が「痛みは軽度または問題なし」と回答しました。
編集部この結果から、多くの方が「チクッとする程度」「ほとんど痛みなし」と感じていることが分かります。
フォトフェイシャルは、照射の前に肌を冷却してくれるため、痛みが最小限に抑えられるのも特徴です。
痛みが強かったという方が10%いましたが、以下に当てはまる方は痛みが感じやすい可能性があります。
感じやすい傾向がある方
・濃いシミ・そばかすが多い
・皮膚が薄い部位が多い(目元・頬骨付近)
「痛みに弱いから不安…」という方でも、麻酔クリームの利用が相談できるクリニックもあるので安心して施術を受けられます。
痛みが気になる方は、京都の湘南美容クリニックで医師が、施術中の痛みの程度や対処法を丁寧に説明してくれるので、安心して相談できます。
※無料カウンセリング予約完了でお得なプランで受けられます。
\【初回限定】IPL光治療が7,800円(税込)でお得!/
無料カウンセリング予約でフォトフェイシャルが
初回限定で7,800円(税込)で受けられます。
※無理な勧誘はなく、カウンセリングは完全無料です。
フォトフェイシャルのダウンタイムはどの程度でしたか?

先ほど、フォトフェイシャルの「痛み」については、多くの方が、「痛みは軽度」と回答していました。
編集部では、フォトフェイシャルの施術後の「ダウンタイムの期間」はどれくらいなのでしょうか。
実際に、京都でフォトフェイシャルが安いおすすめのクリニックで施術を受けた方に、施術後のダウンタイムについて伺ってみました。

京都でフォトフェイシャルのダウンタイムに関するアンケート調査
調査期間
・2025年4月最新版
調査実施
・まぶたのクリニック
調査方法
・CrowdWorks・街頭インタビュー調査
調査対象
・フォトフェイシャルを受けた82人
調査結果:
- ほとんどなかった(赤みがすぐ引いた): 40%
- 軽い赤みが1〜2日続いた: 36%
- シミが濃くなりかさぶた化したが3〜5日で剥がれた: 16%
- 1週間以上目立つ反応があった: 8%
京都でアンケート調査の結果、76%の方がフォトフェイシャルの施術後、「2日以内に目立たなくなった」と回答しました。
編集部この結果からも分かるように、フォトフェイシャルのダウンタイムは比較的短く、赤みが出ても1〜2日で落ち着く方が多数です。
ダウンタイムが短い点は、「仕事や予定の合間に通いやすい」「周囲に気づかれにくい」というメリットにもつながっています。
当記事おすすめの湘南美容クリニックでは、施術後に肌の状態に合わせたアフターケアが行われるため、初めての方でも安心です。
施術後に不安がある場合は、カウンセリングで医師が丁寧に説明してくれるので、「赤みはどのくらい続く?」「スキンケアはどうすれば?」といった疑問も解消できます。
また、万が一肌トラブルが起きた場合も、診察や薬の処方に対応してくれる体制が整っている点も、大手クリニックならではの安心ポイントです。
※無料カウンセリング予約完了でお得なプランで受けられます。
\【初回限定】IPL光治療が7,800円(税込)でお得!/
無料カウンセリング予約でフォトフェイシャルが
初回限定で7,800円(税込)で受けられます。
※無理な勧誘はなく、カウンセリングは完全無料です。
京都でフォトフェイシャルが安いおすすめのクリニックに関するよくあるQ&A

ここでは、京都でフォトフェイシャルが安いおすすめのクリニックに関するよくあるQ&Aを紹介します。
編集部京都でフォトフェイシャルを検討している方は、Q&Aも参考にしてクリニックを選んでください。
- 京都でフォトフェイシャルとレーザー治療のどちらがおすすめですか?
-
悩みや肌質によって異なる場合があります。
| 目的 | おすすめ施術 |
|---|---|
| 広範囲のくすみ・色ムラ・小さなシミ | フォトフェイシャル |
| 濃いシミ・ピンポイント治療 | レーザー |
編集部特に肝斑のある肌質の方がフォトフェイシャルを受けると、症状が悪化してしまう恐れがあります。
施術を検討する前に、必ず医師に肌状態を診てもらいましょう。
- 京都でフォトフェイシャルの施術後、メイクはできますか?
-
赤みが気にならなければ施術直後からメイクは可能です。
編集部ただし、施術直後は肌が敏感になっているので摩擦はNGで軽いメイクがおすすめです。
- 京都で顔全体以外にも、フォトフェイシャルが対応しているクリニックはありますか?
-
当記事でおすすめしている湘南美容クリニックで、首・デコルテ・手の甲に対応しています。
通常料金より安いセットプランもあるので、顔全体以外にもフォトフェイシャルを検討している方にもおすすめできます。

※無料カウンセリング予約完了で初回プランが受けられます。
\【初回限定】IPL光治療が7,800円(税込)でお得!/
無料カウンセリング予約でフォトフェイシャルが
初回限定で7,800円(税込)で受けられます。
※無理な勧誘はなく、カウンセリングは完全無料です。
京都でフォトフェイシャルが安いおすすめのクリニック 当記事まとめ

当記事では、京都でフォトフェイシャルが安いおすすめのクリニック10選を紹介しました。
京都でフォトフェイシャルが安いクリニックを検討する方は、次の3つを注目してクリニックを選びましょう。
当記事で、京都でフォトフェイシャルが安いおすすめのクリニックは湘南美容クリニックです。
京都でフォトフェイシャルが初めての方は、無料カウンセリングで医師に以下の内容を聞いてみるのがおすすめです。
医師に聞いておくべき内容
- 自分の肌に効果があるのか
- 効果の出る回数・期間
- リスク・ダウンタイム
- 施術の強さと痛み
- ホームケアについて
- 料金・お得な通い方
無料カウンセリングでは、医師やスタッフが丁寧に分かりやすく説明してくれるので、初めての方にはおすすめできます。
※無料カウンセリング予約完了で初回プランが受けられます。
\医師が丁寧に説明・施術をしてくれるから安心!/
無料カウンセリング予約でフォトフェイシャルが
初回限定で7,800円(税込)で受けられます。
※無理な勧誘はなく、カウンセリングは完全無料です。



